Trong quá trình chăm sóc cây trồng, không ít lần người nông dân đau lòng chứng kiến cảnh tượng cây xanh tươi tốt bỗng nhiên héo úa, lụi tàn chỉ sau vài ngày bón phân. Tình trạng này không chỉ gây thiệt hại nặng nề về kinh tế mà còn làm giảm lòng tin vào các phương pháp canh tác hiện đại. Vậy tại sao cây chết dần sau khi bón phân? 3 sai lầm mà nông dân thường mắc phải dưới đây chính là nguyên nhân cốt lõi. Bài viết này sẽ phân tích chi tiết từng sai lầm và đưa ra giải pháp hiệu quả, giúp bà con chăm sóc cây trồng khỏe mạnh, gia tăng năng suất và lợi nhuận.
Một trong những nguyên nhân phổ biến nhất khiến cây chết dần sau khi bón phân chính là việc bón quá liều lượng. Khi lượng phân bón vượt ngưỡng cho phép:
Nồng độ muối trong đất tăng cao, dẫn đến hiện tượng áp suất thẩm thấu ngược. Điều này khiến rễ cây mất nước thay vì hấp thụ nước từ đất.
Hệ thống rễ bị tổn thương nặng nề, giảm khả năng hấp thụ dưỡng chất cần thiết cho cây.
Cây mất cân bằng dinh dưỡng nghiêm trọng, dẫn đến rối loạn sinh lý và suy yếu tổng thể.
Bón phân quá mức không những không giúp cây phát triển nhanh mà còn là “đòn chí mạng” khiến cây dễ dàng héo úa và chết dần.
Xem thêm: Đừng Bón Phân Theo Cảm Tính – Đây Là Cách Giúp Cây Phát Triển Chuẩn Giai Đoạn
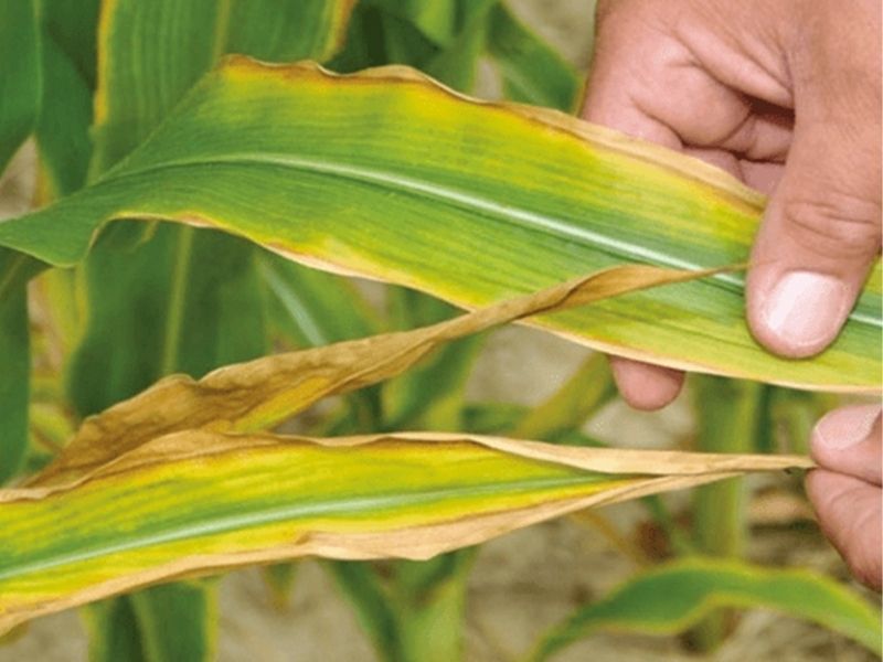
Nông dân có thể nhận diện sớm tình trạng cây bị bón thừa phân qua các dấu hiệu:
Lá cây cháy mép, chuyển vàng hoặc nâu, khô rụng bất thường.
Cây còi cọc, chậm lớn, không ra lá non hoặc cành mới.
Rễ cây có dấu hiệu thối nhũn, đổi màu đen hoặc nâu sẫm.
Để phòng tránh hậu quả do bón phân quá liều, cần lưu ý:
Tuân thủ đúng liều lượng được khuyến cáo trên bao bì sản phẩm.
Sử dụng dụng cụ đo lường chuyên dụng như ca đong, cân điện tử thay vì ước lượng bằng cảm tính.
Chia nhỏ lượng phân bón, bón làm nhiều đợt thay vì dồn một lần, giúp cây dễ hấp thụ mà không bị “sốc” dinh dưỡng.
Một sai lầm khác thường gặp là bón phân không đúng thời điểm. Việc này gây ra nhiều tác động tiêu cực:
Bón phân khi cây vừa mới trồng, đang yếu hoặc sau khi chuyển chậu khiến rễ chưa ổn định, dễ bị sốc dinh dưỡng.
Bón phân vào thời điểm nắng gắt hoặc mưa lớn làm rửa trôi dinh dưỡng hoặc gây cháy rễ.
Bón không đúng giai đoạn sinh trưởng, như bón quá nhiều đạm khi cây đang ra hoa, dẫn đến rụng hoa, giảm năng suất.
Xem thêm: 5 Sai Lầm Khi Bón Phân Khiến Cây Kém Phát Triển – Bà Con Nhất Định Phải Biết!
Hậu quả khi bón phân sai thời điểm bao gồm:
Cây không hấp thụ được dưỡng chất, dẫn đến lãng phí và nguy cơ cây chết dần.
Rối loạn sinh lý cây, chậm phát triển, dễ mắc bệnh.
Tăng nguy cơ sâu bệnh tấn công do cây yếu và mất sức đề kháng.
Để bón phân đạt hiệu quả cao nhất, cần lưu ý:
Bón phân vào sáng sớm hoặc chiều mát, tránh thời điểm nắng gắt hoặc mưa to.
Không bón phân khi cây đang bị bệnh hoặc ngay sau khi cắt tỉa, chuyển chậu.
Tìm hiểu rõ từng giai đoạn sinh trưởng của cây để bổ sung loại dinh dưỡng phù hợp (đạm, lân, kali).
Lựa chọn phân bón không phù hợp là nguyên nhân âm thầm nhưng cực kỳ nguy hiểm khiến cây trồng chết dần:
Sử dụng loại phân không phù hợp với giống cây hoặc loại đất đang canh tác.
Mua phải phân bón kém chất lượng, pha tạp, không rõ nguồn gốc xuất xứ.
Chỉ bón tập trung một loại dưỡng chất (như chỉ bón đạm), gây mất cân bằng dinh dưỡng nghiêm trọng.
Xem thêm: Lựa Chọn Phân Bón Đúng Giai Đoạn – Bí Quyết Vụ Mùa Bội Thu!
Nếu tiếp tục dùng phân bón không phù hợp:
Cây sẽ thiếu hụt hoặc thừa dưỡng chất, làm biến dạng sinh trưởng.
pH đất bị thay đổi thất thường, gây mất cân bằng sinh học đất.
Tình trạng ô nhiễm đất, nước sẽ gia tăng, ảnh hưởng lâu dài đến hệ sinh thái nông nghiệp.
Để đảm bảo cây trồng phát triển ổn định, nên:
Nắm rõ nhu cầu dinh dưỡng đặc thù của từng loại cây.
Phân tích đất để hiểu rõ tính chất đất trước khi lựa chọn phân bón.
Ưu tiên các sản phẩm phân hữu cơ hoặc phân bón có chứng nhận chất lượng, nguồn gốc minh bạch.
Qua bài viết, chúng ta đã cùng phân tích tại sao cây chết dần sau khi bón phân? 3 sai lầm mà nông dân thường mắc phải bao gồm: bón phân quá liều, bón phân sai thời điểm và lựa chọn phân bón không phù hợp.
Những sai lầm này không chỉ gây thiệt hại kinh tế mà còn làm suy giảm sức khỏe đất đai và cây trồng về lâu dài. Vì vậy, việc nắm vững kỹ thuật bón phân, lựa chọn đúng loại phân bón và tuân thủ nguyên tắc bón đúng – đủ – hợp lý là chìa khóa vàng giúp cây trồng phát triển mạnh mẽ, gia tăng năng suất và bảo vệ môi trường canh tác bền vững.
Hãy áp dụng những kiến thức từ WebNhaQue.com ngay hôm nay để chăm sóc vườn cây của bạn một cách khoa học và hiệu quả hơn, đảm bảo mùa vụ bội thu và thu nhập ổn định cho tương lai. Liên hệ với chúng tôi ngay nếu bạn cần hỗ trợ và tư vấn nhanh chóng nhé!
Thông tin liên hệ:
ĐỪNG BỎ QUA BÀI VIẾT BÊN DƯỚI:
Trọn bộ tài liệu kỹ thuật nông nghiệp giúp tăng năng suất cây trồng
——–
1. Cách Phòng Và Xử Lý Mầm Mống Gây Hại Hiệu Quả
2. Bệnh Xì Mủ Trên Cây Sầu Riêng: Nguyên Nhân & Cách Phòng Trị
3. Phân Humic là gì? Lợi ích & cách sử dụng hiệu quả trong nông nghiệp
4. Lịch bón phân và tưới nước cho cây sầu riêng theo giai đoạn
5. Ứng Dụng Phân Bón Lá Cho Sầu Riêng Giai Đoạn Ra Hoa Hiệu Quả
6. Kỹ thuật xử lý ra hoa cho sầu riêng đúng thời điểm
7. Kỹ thuật làm cơi đọt sầu riêng đúng cách giúp cây khỏe, ra hoa đồng loạt
8. Cách tăng tỉ lệ đậu trái sầu riêng hiệu quả
Tác giả: Lợi Lê Hữu Lợi
